Skin Consultations
We’re passionate about empowering you on your journey towards long-term skin health. Skin that is cared for, healthy, and radiant can have an incredible impact on the way you feel about yourself and the way you are perceived by others, and we see these effects in our patients first-hand.

We’re pleased to offer comprehensive skin consultations with our skilled medical aesthetics team to help you navigate your options. As a clinic that specializes in tailored and holistic treatment plans, we can advise on topical skincare regimens, medical aesthetics treatments, and the potential for surgical interventions, or a combination of these approaches.
How It Works
Your Starting Point
We’ll begin with a conversation about your skin concerns and all the factors that impact your skin health: your lifestyle and habits, any history of skin treatments, and your current skincare regimen if applicable. We’ll take into consideration your skin tone and skin type, as well as the presence of any skin disorders such as melasma, acne, rosacea, psoriasis, eczema, or dermatitis. We’ll also go over your goals for your skin and for your overall appearance.
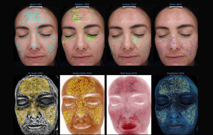
VISIA® Complexion Analysis
To best inform our recommendations, we use our VISIA® imaging technology to conduct an in-depth analysis of your skin, a key step in achieving optimal skin renewal.
A VISIA® Complexion Analysis uses multi-spectral imaging to capture key visual information for eight areas affecting complexion health and appearance: wrinkles, spots, brown spots (pigmentation), red areas (vascular conditions), pores, texture (variation in the skin tone), porphyrins (evidence of bacteria or congestion in pores), and UV spots (characteristic of sun damage).
Your VISIA® analysis will also provide a comparison of your complexion’s characteristics to others of your same age and skin type, offering a multi-dimensional portrait of the ‘true’ age of your skin.

Recommendations
With this comprehensive information in hand, we’ll provide you with a custom facial rejuvenation program, including recommendations for your optimal treatments paired with an ongoing skincare regimen. Our approach to skincare regimens focuses on skin aesthetics, nourishment, repair and protection, including reducing the risk of skin cancer. You’ll take home a printed report with the results of your VISIA® imaging session along with your skin care plan.
Next Steps
You can easily purchase any recommended skincare products at the clinic by placing an order with us online. Note that we require a deposit of $50 at the time of booking to secure your initial skin consultation, which will be credited towards your skincare purchase.
When you choose to proceed with a skincare or treatment program with us, we offer complimentary follow-up appointments to check in on your progress and review improvements together, with VISIA® imaging as an invaluable aid in monitoring your complexion’s vitality and the effectiveness of your skin care program.